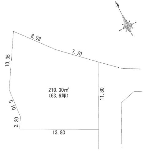
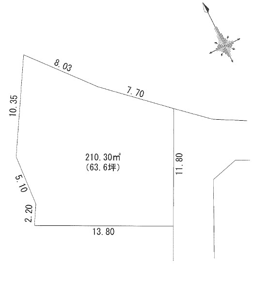
価格636万円 種別売地 所在地 埼玉県秩父市柳田町5-5 交通 物件詳細 駐車場 取引態様 仲介 引渡/入居時期 即時 現況 更地 地目 宅地 用途地域 第一種住居地域 都市計画 非線引き区域 地勢 土地面積 210.30m² 土地面積計測方式 接道方向1 南東 接道間口1 11.8m 周辺環境 設備・条件 プロパンガス 公営水道 排水下水 物件番号 202508201 自社物 状態 売出中 ※物件掲載内容と現況に相違がある場合は現況を優先と致します。 近くの物件もどうぞ大野原 土地 61坪870万円 201.99m² 201.99m²秩父市大野原秩父鉄道大野原駅栃谷 60坪500万円 198m² 198m²秩父市栃谷763大野原 分譲地720万円 188.56m² 188.56m²秩父市大野原1544-16秩父鉄道大野原駅柳田町 71.7坪717万円 236.88m² 236.88m²秩父市柳田町5-5 Author sunhomePosted on 2025年8月20日2025年8月20日Categories おすすめ物件, 土地 お問い合わせはこちらからお寄せください お電話からのご予約・お問い合わせ TEL: 0494-53-9299 FAX: 0494-53-9294 宅地建物取引業免許:埼玉県知事(4)第21193号 WEBからのご予約・お問い合わせ お問い合わせフォーム 恐れ入りますが 下記のフォームより送信ください。 お名前 必須 メールアドレス必須 件名必須 *資料をご郵送希望の方は,メッセージ内に郵便番号,ご住所もお願いします メッセージ本文必須 確認チェック必須 ※確認チェックを入れてから送信願います。 Δ